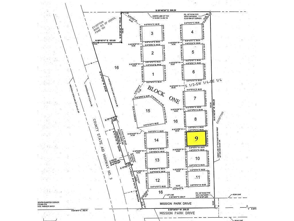
13084 Mission Park Drive - #9, Merrifield, MN 56465
Lot 9 TBD County Road 3
Courtesy of Larson Group Real Estate/Kelle, Bruce Larson Listing Contact:  

Lot 9 TBD County Road 3

13084 Mission Park Drive - #9, Merrifield, MN

$60,000

HIGHLIGHTS
  • 3,049.2 Sq.Ft. Lot
  • For Sale Status
  • 6634425 MLS® ID
Check out the new Sportsmans Storage Development that is located in Merrifield at the site of the old Sportsman Store on County Road 3.
Lot size is 48' x 64'. All building widths to be 48' and built to the front lot line facing the access drive. Minimum building size 48' x 48'. Maximum building size 48' x 64'. Required structure colors - see covenants. Sidewall height - 16'. Overhead door height - 14' - 18' (width and number of overhead doors are owner's choice). Service door detail - see covenants. Windows - owner's choice. The burnished brown with black trim is the required color. All units will match the color. The two 18' doors are only an option, not required. Exterior lighting - all lighting to be downward. The apron is required to be a minimum of 4' into the common area to a maximum of 18' so as not to obstruct the driveway. Outside storage - prohibited. Interior finish - owner's choice.
Lots will be build-ready. Sportsmans Storage is conveniently close to Pelican Lake, Horseshoe Lake and other lakes in the Merrifield area.
Show MoreShow Less
Bruce Larson

Bruce Larson

Owner, Broker, Realtor®

FEATURES & AMENITIES

Area & Lot

  • Status For Sale
  • Lot Area3,049.2 Sq.Ft.
  • MLS® ID6634425
  • TypeLand
  • School DistrictCrosby-Ironton

Exterior

  • utilitiesElectricity Available, None Connected, Underground Utilities Available
  • lot featuresUnderground Utilities

Financial

  • Sales Price$60,000
  • Real Estate Tax $284/yr
  • HOA Fees $400/yr
image

Schedule a Showing

We would love to show you our beautiful property. Please select your preferred date and time below. An agent will be in touch shortly to confirm your appointment.

Schedule a Showing

We would love to show you our beautiful property. Please select your preferred date and time below. An agent will be in touch shortly to confirm your appointment.
Thank you for your interest in 13084 Mission Park Drive - #9, Merrifield, MN 56465. We are reviewing your request and will be in touch shortly!

Mortgage Calculator

Estimate your monthly mortgage payment, including the principal and interest, property taxes, and HOA. Adjust the values to generate a more accurate rate.
All estimates are provided for informational purposes only. Actual amounts may vary.
$0,000 Your Payment 20 15 65
$0,000 Your Payment

WORK WITH US

With the Larson Group, you have an entire group of dedicated agents, helping you find the perfect place to buy or the right time to sell. For over 28 years, we’ve been successful with clients making them happy. We know we can do the same for you.

Contact Us

Follow Us on Instagram